Belles villas au calme à Porrentruy
Pièces4.5
Surface habitable130 m²
Prix de l'objetCHF 677'000.-
DisponibilitéA convenir
Localisation
La colombière, 2900 PorrentruyCaractéristiques
Référence
4407931
Disponibilité
A convenir
Sanitaire
1
Pièces
4.5
Chambres
3
Nombre de terrasse
2
Type de chauffage
Pompe à chaleur air-eau
Installation chauffage
Sol
Etat du bien
Nouveau
Surface terrain
Dès 284 m²
Surface habitable
130 m²
Nombre de WC
2
Places de parc
Oui, obligatoire
Nombre de places de parc
Extérieur
1 | inclus/-e(s)
Descriptif
Descriptif
Idéalement situé à proximité d’une vaste parcelle agricole, ce projet offre les avantages d’une vie paisible à deux pas de la vieille ville de Porrentruy. Alliant confort moderne et respect des normes écologiques, ces villas jumelées répondent aux critères stricts du label Minergie P.
Permis de construction obtenu !
Composition des villas :
Rez-de-chaussée (72,8 m²)
• Une entrée accueillante avec penderie
• Un WC visiteurs
• Une spacieuse cuisine avec îlot central et cellier
• Un séjour lumineux de près de 40 m² ouvrant sur une terrasse de 30 m², prolongée par un jardin allant de 242 à 303 m²
• Un local technique avec emplacement pour la colonne de lavage et bac de buanderie
1er étage
• Un hall desservant trois chambres (15,3 m², 12,4 m², 12,4 m²)
• Une salle de bains équipée d’une douche à l’italienne, d’une baignoire, de doubles vasques et d’un WC
• Une terrasse orientée sud-ouest complète cet étage
Caractéristiques techniques :
• Surface brute de plancher utilisable (SBPU) : 144 m²
• Surface habitable nette (SRE) : 147,9 m²
• Terrasse : 30,3 m²
• Balcon : 13,6 m²
• Pompe à chaleur avec distribution au sol
• Murs en brique, dalle en béton et isolation périphérique
Disponibilité : A convenir
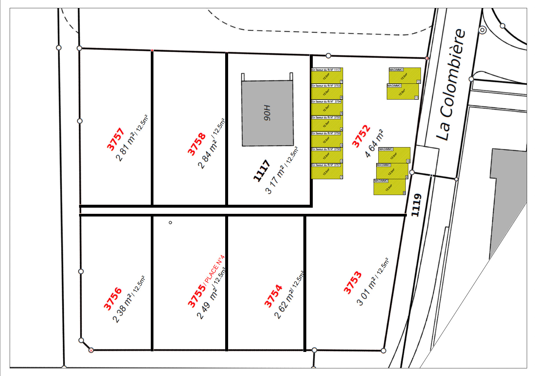
Prix des villas :
• Villa C1 (3758) : CHF 677’000.-
• Villa C2 (3757) : CHF 681’000.-
• Villa C3 (3756) : CHF 685’000.-
• Villa C4 (3755) : CHF 685’000.-
• Villa C5 (3754) : CHF 690’000.-
• Villa C6 (3753) : CHF 692’000.-
Possibilité de faire l'acquisition de places de parc supplémentaires au prix de CHF 10'000.-/place.
Idéalement situé à proximité d’une vaste parcelle agricole, ce projet offre les avantages d’une vie paisible à deux pas de la vieille ville de Porrentruy. Alliant confort moderne et respect des normes écologiques, ces villas jumelées répondent aux critères stricts du label Minergie P.
Permis de construction obtenu !
Composition des villas :
Rez-de-chaussée (72,8 m²)
• Une entrée accueillante avec penderie
• Un WC visiteurs
• Une spacieuse cuisine avec îlot central et cellier
• Un séjour lumineux de près de 40 m² ouvrant sur une terrasse de 30 m², prolongée par un jardin allant de 242 à 303 m²
• Un local technique avec emplacement pour la colonne de lavage et bac de buanderie
1er étage
• Un hall desservant trois chambres (15,3 m², 12,4 m², 12,4 m²)
• Une salle de bains équipée d’une douche à l’italienne, d’une baignoire, de doubles vasques et d’un WC
• Une terrasse orientée sud-ouest complète cet étage
Caractéristiques techniques :
• Surface brute de plancher utilisable (SBPU) : 144 m²
• Surface habitable nette (SRE) : 147,9 m²
• Terrasse : 30,3 m²
• Balcon : 13,6 m²
• Pompe à chaleur avec distribution au sol
• Murs en brique, dalle en béton et isolation périphérique
Disponibilité : A convenir
Prix des villas :
• Villa C1 (3758) : CHF 677’000.-
• Villa C2 (3757) : CHF 681’000.-
• Villa C3 (3756) : CHF 685’000.-
• Villa C4 (3755) : CHF 685’000.-
• Villa C5 (3754) : CHF 690’000.-
• Villa C6 (3753) : CHF 692’000.-
Possibilité de faire l'acquisition de places de parc supplémentaires au prix de CHF 10'000.-/place.
Commodités
Extérieur
- Terrasse(s)
- Jardin







