Immeuble résidentiel ancien dans un emplacement central - propriété idéale pour les bricoleurs
Localisation
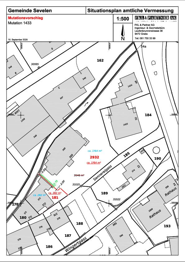
Sennereigass 572, 9475 SevelenCaractéristiques
Descriptif
Ancien immeuble résidentiel dans un emplacement central avec du potentiel - une propriété pour les bricoleurs
Nous vendons cette vieille maison dans un emplacement central à Sevelen. Il est situé dans le vieux centre du village de Sevelen, à côté de la propriété Alte Mühle et du ruisseau du village. Après lotage, la propriété s’étend sur 282 m² et est située dans la zone centrale.
Le bâtiment résidentiel présente un concept d’aménagement classique et ancien avec un standard de construction très simple et démoli. L’ancien bâtiment est en grande partie intact, mais a besoin d’être rénové en profondeur. Grâce à une rénovation soignée avec des combinaisons appropriées de tissus de construction anciens et récents, des espaces de vie contemporains et charmants peuvent être réalisés ici.
Dans la maison existante, une surface habitable d’environ 178 m² peut être réalisée. De plus, le bâtiment contient des caves voûtées uniques et diverses pièces annexes. Les chambres suivantes sont actuellement disponibles :
- Rez-de-chaussée : entrée couverte, antichambre, escalier, cuisine, salle d’eau, plusieurs pièces
- Étage supérieur : couloir, antichambre, plusieurs pièces, salle d’eau
- Grenier : grand grenier avec des pièces hautes, peut être converti en espaces de vie et calculé comme tel dans le calcul de la surface habitable.
- Sous-sol : grande cave voûtée avec accès extérieur, petite cave voûtée
- Schopfanbau : Salles de stockage au rez-de-chaussée, rampe, Schopf à plusieurs étages
- Extérieur : espace extérieur isolé face au ruisseau du village, places de parking pour 2 à 3 voitures
Cette propriété est idéale pour les familles et les personnes qui aiment et ont de l’expérience dans les rénovations de bâtiments anciens. Ici, vous pouvez réaliser votre rêve de posséder votre propre maison et d’y vivre à moindre coût - nous vous soutenons !
Nous serons heureux de vous fournir des informations supplémentaires et de vous faire visiter. Nous nous réjouissons d’avoir de vos nouvelles !
Commodités
Etat
- A rénover







